Ter. residenziale in vendita

Arconate, P.za dell'Umiltà
€ 200.000
865 Mq 865 Mq

Ter. residenziale in vendita

Arconate, P.za dell'Umiltà

Descrizione annuncio

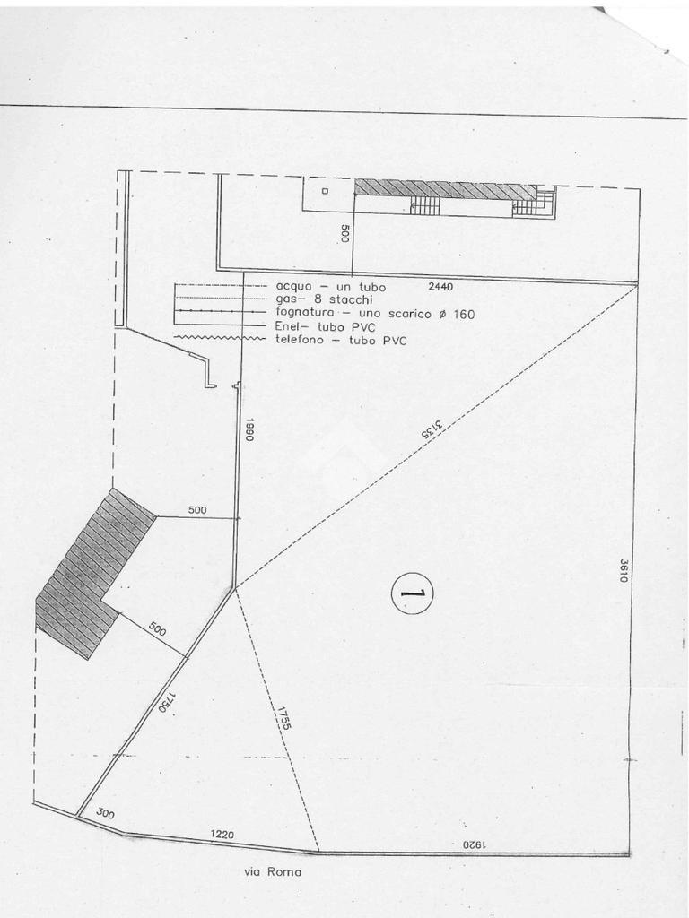
Arconate: In posizione centrale e strategica, a pochi passi dalla ciclopedonale del Canale Villoresi, proponiamo terreno residenziale urbanizzato di 865 mq con volumetria edificabile pari a 1.740 mc. Lotto pronto a costruire, inserito in un contesto residenziale consolidato, ideale per imprese di costruzione e investitori interessati a un intervento di sicuro rendimento.

Caratteristiche principali:

Superficie: 865 mqVolumetria edificabile: 1.740 mcZona centrale e ben servitaArea completamente urbanizzataOttima esposizioneAdiacenza alla ciclopedonale VilloresiPossibilità di permuta totale

Ottima opportunità per la realizzazione di un intervento residenziale di qualità in una delle zone più richieste del paese.

Mostra tutto

Nelle vicinanze

Ricariche auto elettriche Ricariche auto elettriche
ENERCOOP Busto Garolfo
1,4 Km
Scuole Scuole
Scuola media statale Alessandro Manzoni
220 m
Scuole elementari Maestri d'Arconate
310 m
Scuola Primaria Ferrazzi Cova
1,4 Km
Scuola Secondaria di Primo Grado Caccia
2,5 Km
Scuola Primaria Tarra
2,5 Km
Farmacia Farmacia
Farmacia Dr. Lupo
2,8 Km
Farmacia Perino
3,0 Km
Supermercati Supermercati
Coop di Busto Garolfo
1,5 Km
Negozi Negozi
Antico Forno
2,7 Km
Bar Bar
Bar Branca
2,3 Km
The Kerry Blue
2,5 Km
Ristoranti Ristoranti
Osteria Del Buongustaio
290 m
Ristoranti
2,5 Km
Sardinia
2,9 Km
Mostra tutto

Caratteristiche

Rif.:
61162020
Riscaldamento:
Assente
Libero:
Classe immobile:
Signorile
Mostra tutto
Prezzo Prezzo
€ 200.000
Rata mutuo Rata mutuo
€ 948 / mese
Proponi il tuo prezzoProponi il tuo prezzo

Classe Energetica

Questo immobile è esente da classe energetica
Riscaldamento:
Assente

Ti interessa visionare l'immobile?

Fissa un appuntamento  Fissa un appuntamento

Richiedi informazioni

Clicca su Leggi per aprire l'informativa
* Questi campi sono obbligatori

Calcola il tuo mutuo

Semplice e senza impegno
Anticipo

( % )
Mutuo

( % )

pochi semplici passi

inserisci i tuoi dati
Questionario completato
Grazie per aver richiesto un appuntamento senza impegno con un nostro Consulente del Credito e Assicurativo.

Hai inserito correttamente tutti i dati necessari e a breve riceverai una e-mail con un link da convalidare per inviare i tuoi dati.
Affiliato
Studio Villa Cortese D.I.
Via Pacinotti, 1 20020 Villa Cortese (MI)

Il nostro staff


  • Daniele Pizzo
    Affiliato

  • Monica Busti
    Coordinatrice

  • Elisa Marino
    Collaboratrice
Via Pacinotti, 1 20020 Villa Cortese (MI)
Zona: Villa Cortese-Dairago-Arconate
Mostra su mappa
Orari: lunedì al venerdì 09.30 alle 12.30-15.00 alle 19.30; sabato chiusura alle 13.00
Affiliato
Studio Villa Cortese D.I.
Via Pacinotti, 1 20020 Villa Cortese (MI)

2026 Tecnocasa Franchising S.p.A. - P. IVA 08365160152 - Via Monte Bianco 60/A 20089 Rozzano (MI). Ogni agenzia ha un proprio titolare ed è autonoma. Privacy policy | Policy utilizzo | Cookie policy